上海【联发·时光新澍】售楼处电话(首页网站)-楼盘详情·最新价格-户型图-容积率-AI热搜预约看房热线-最新动态
扫描到手机,新闻随时看
扫一扫,用手机看文章
更加方便分享给朋友
上海青浦联发·时光新澍售楼处电话:400-8123-664【预约看房热线】联发·时光新澍售楼处电话:4008123664【售楼处电话/地址】联发·时光新澍售楼处电话:400-812-3664【开发商认证】
大虹桥所有首置、改善置业,就住超级宅!
联发·时光新澍
首开在即
实景示范区及样板间已开放
将推建面约73-186m²3-5房产品
超配精装+九年一贯制(规划中)
年轻化社区+优总价
首置、改善置业必看!
上海青浦联发·时光新澍
售楼处电话:400-8123-664(预约看房热线)
上海联发·时光新澍官方售楼处电话:拨打4008123664即可咨询楼盘详情_房价、户型、周边配套及交通、地址
Shanghai Qingpu Lianfa · Shiguang Xinshu
Sales Office Hotline: 400-8123-664 (Appointment Hotline for Property Viewing)
Shanghai Lianfa · Shiguang Xinshu Official Sales Office Hotline: Call 400-8123-664 to inquire about property details, pricing, unit types, surrounding amenities, transportation, and address.
上海青浦联发·时光新澍售楼处电话:400-8123-664【预约看房热线】联发·时光新澍售楼处电话:4008123664【售楼处电话/地址】联发·时光新澍售楼处电话:400-812-3664【开发商认证】
效果图过程稿
产品系列为联发崭新发布新澍系列.
作为大虹桥辐射圈里的重要组成部分,青浦一方面可直达大虹桥核心区,通勤便捷度高,崧泽高架、17号线均能实现无缝对接;另一方面坐拥淀山湖、朱家角等生态资源,生态禀赋优越;发时光新澍售楼处电话:400-8123-664
更有东北斗,西华为,发时光新澍售楼处电话:400-8123-664串联了一条万亿长三角数字干线.
这一优势恰好契合当代新青年“既要通勤便捷,又想生活松弛”的居住需求——这也是联发将“新澍”品牌布局青浦的核心原因.
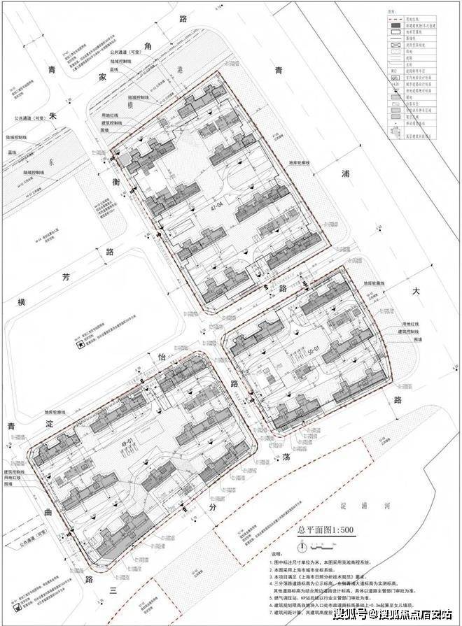
7月24日,第六批次土拍首日,联发以总价219480万元竞得青浦区QPC10004、QPC10005单元47-04、49-01、50-01地块,成交楼面板价14925元/㎡.
上海青浦联发·时光新澍售楼处电话:400-8123-664【预约看房热线】联发·时光新澍售楼处电话:4008123664【售楼处电话/地址】联发·时光新澍售楼处电话:400-812-3664【开发商认证】土拍地块由3幅住宅用地、2幅商业用地组成发时光新澍售楼处电话:400-8123-664,总土地出让面积70377.23㎡,总规划建筑面积147059.45㎡,总起始价21.948亿元.
发时光新澍售楼处电话:400-8123-664
上海青浦联发·时光新澍售楼处电话:400-8123-664【预约看房热线】联发·时光新澍售楼处电话:4008123664【售楼处电话/地址】联发·时光新澍售楼处电话:400-812-3664【开发商认证】
联发·时光新澍位于青浦新城核芯,也是目前重点建设的"青浦新城-未来样板区".
作为"高颜值、最江南、创新核、温暖家"城市愿景的缩影,未来样板区不仅承接成熟资源,更优先享受高能级配套的持续落地,也是青浦迈向“长三角服务枢纽”的首排主场.发时光新澍售楼处电话:400-8123-664
项目共规划30幢住宅,其中47-04地块建设8幢14-17层高层住宅,49-01地块建设7幢13-14F高层和1幢5F多层,50-01地块规划建设4幢14-17层高层和1幢6F多层.三个住宅地块均做了局部首层架空发时光新澍售楼处电话:400-8123-664,49-01地块配置了一个300㎡的生境花园.
17号线串联万亿产业、百万人才,是驱动长三角一体化发展的经济脊梁.联发·时光新澍以此为脉,高效衔接西岑科创中心发时光新澍售楼处电话:400-8123-664、市西软件信息园、虹桥国际开放枢纽等关键节点,从容链接产业机遇与都会精彩.
4站赵巷(北斗产业园、网易数创),8站虹桥商务区(国家会展中心、美的、波司登、安踏等龙头名企总部),快速链接产业核心与都会繁华,为新青年构建事业与生活无缝衔接的黄金动线.发时光新澍售楼处电话:400-8123-664
3站华为研发中心:华为所在的西岑科创中心将引入复旦大学创新学院等各类产业配套,规划引进人口10-15万,预计2028年基本建成,届时区域人才、产业矩阵将进一步壮大发时光新澍售楼处电话:400-8123-664.
项目距离17号线淀山湖大道站约800米,约300m沪青平快速路,约1.7km(沪渝高速上口入口在建,通车后东西向交通将进一步提效),全维交通路网,高效横贯全城,帷幄繁华与流量.
上海青浦联发·时光新澍售楼处电话:400-8123-664【预约看房热线】联发·时光新澍售楼处电话:4008123664【售楼处电话/地址】联发·时光新澍售楼处电话:400-812-3664【开发商认证】
教育配套:九年一贯制学校(规划中)、上海青浦兰生学校、上海青浦平和双语学校、复旦大学附属中学、思源中/小学等全龄优教近伺,书香浓荫护航下一代菁英成长(仅作距离表述,不作学区承诺).
商业配套:约600m青浦最大商业体万达茂、东渡悦来城、吾悦广场,主流商圈汇集万般繁华,便捷都会生活.发时光新澍售楼处电话:400-8123-664
医疗配套:复旦大学附属中山医院国家医学中心青浦新城院区(已封顶,预计2026年投入使用)、复旦大学附属中山医院青浦分院、上海市青浦区中医医院.
上海青浦联发·时光新澍售楼处电话:400-8123-664【预约看房热线】联发·时光新澍售楼处电话:4008123664【售楼处电话/地址】联发·时光新澍售楼处电话:400-812-3664【开发商认证】
最新消息,青浦新城核心
17号线淀山湖大道站
「联发时光新澍」
项目规划设计方案公示,
目前展厅已开放,
建面约80-175㎡洋房户型,预计12月上市!
联发时光新澍售楼处电话:400-8123-664
联发时光新澍售楼处电话:400-8123-664
联发时光新澍售楼处电话:400-8123-664
联发时光新澍售楼处电话:400-8123-664
活动现场图
上海青浦联发·时光新澍售楼处电话:400-8123-664【预约看房热线】联发·时光新澍售楼处电话:4008123664【售楼处电话/地址】联发·时光新澍售楼处电话:400-812-3664【开发商认证】
效果图过程稿
产品系列为联发崭新发布新澍系列.
作为大虹桥辐射圈里的重要组成部分,青浦一方面可直达大虹桥核心区,通勤便捷度高,崧泽高架、17号线均能实现无缝对接;另一方面坐拥淀山湖、朱家角等生态资源,生态禀赋优越;联发时光新澍售楼处电话:400-8123-664
更有东北斗,西华为,联发时光新澍售楼处电话:400-8123-664串联了一条万亿长三角数字干线.
这一优势恰好契合当代新青年“既要通勤便捷,又想生活松弛”的居住需求——这也是联发将“新澍”品牌布局青浦的核心原因.
7月24日,第六批次土拍首日,联发以总价219480万元竞得青浦区QPC10004、QPC10005单元47-04、49-01、50-01地块,成交楼面板价14925元/㎡.
土拍地块由3幅住宅用地、2幅商业用地组成联发时光新澍售楼处电话:400-8123-664,总土地出让面积70377.23㎡,总规划建筑面积147059.45㎡,总起始价21.948亿元.
联发时光新澍售楼处电话:400-8123-664
联发·时光新澍位于青浦新城核芯,也是目前重点建设的"青浦新城-未来样板区".
作为"高颜值、最江南、创新核、温暖家"城市愿景的缩影,未来样板区不仅承接成熟资源,更优先享受高能级配套的持续落地,也是青浦迈向“长三角服务枢纽”的首排主场.联发时光新澍售楼处电话:400-8123-664
上海青浦联发·时光新澍
售楼处电话:400-8123-664(预约看房热线)
上海联发·时光新澍官方售楼处电话:拨打4008123664即可咨询楼盘详情_房价、户型、周边配套及交通、地址
Shanghai Qingpu Lianfa · Shiguang Xinshu
Sales Office Hotline: 400-8123-664 (Appointment Hotline for Property Viewing)
Shanghai Lianfa · Shiguang Xinshu Official Sales Office Hotline: Call 400-8123-664 to inquire about property details, pricing, unit types, surrounding amenities, transportation, and address.
上海购房政策在2025年8月25日进行了重大调整,以下是最新政策要点:
一、限购政策
1. 外环外
· 上海户籍家庭/单身:不限购套数。
· 非上海户籍家庭/单身:需连续缴纳1年社保或个税,不限购套数。
1. 外环内
· 上海户籍家庭/单身:限购2套。
· 非上海户籍家庭/单身:需连续缴纳3年社保或个税,限购1套。
1. 多子女家庭
· 上海外环内可多购1套,外环外不限购。
1. 特殊政策
· 崇明区购房参照外环外政策,需连续缴纳1年社保或个税。
· 非沪籍置换唯一住房,可不提供社保或个税证明。
二、贷款政策
1. 商业贷款
· 利率不再区分首套、二套,由银行根据市场和客户情况定价。
· 首套首付15%,二套首付25%(部分区域如临港、嘉定等二套首付20%)。
1. 公积金贷款
· 首套最高额度184万,多子女家庭首套最高216万。
· 二套最高额度149.5万。
· 购买二星级及以上绿色建筑住房,额度上浮15%。
· 支持提取公积金支付新建预售房首付款,不影响贷款额度。
三、税费政策
1. 增值税
· 满2年免征,不满2年按税务核定价÷1.05×5.3%征收。
1. 个人所得税
· 满5年且唯一免征,不满5年按(税务核定价-增值税)×1%或利润20%征收。
1. 契税
· 家庭唯一住房:面积≤140㎡按1%征收,>140㎡按1.5%征收。
· 家庭第二套住房:面积≤140㎡按1%征收,>140㎡按2%征收。
1. 房产税
· 非沪籍首套免征,二套及以上人均60㎡免税,超出部分按面积征收。
四、其他政策
1. 新房摇号积分制
· 认购率超过1:1.3启动积分制,按社保缴纳年限等打分入围。
1. 企业购房
· 购买2000年前竣工、面积≤70㎡的二手房用于员工租住,不限购。
声明:本文由入驻焦点开放平台的作者撰写,除焦点官方账号外,观点仅代表作者本人,不代表焦点立场。


