【保利江上印】官方资讯_售楼处地址及预约指南_保利江上印官方公示_开发商与备案信息介绍_最新楼盘详情_周边配套_售楼处电话
扫描到手机,新闻随时看
扫一扫,用手机看文章
更加方便分享给朋友
上海杨浦保利江上印售楼处电话:400 8123 664 (预约看房热线)
【保利江上印官方售楼处咨询热线】400-812-3664(24小时服务,人工客服8:00-22:00)
▸保利江上印售楼处地址:暂定(看房请提前预约)
▸ 开放时间:每日9:00-19:30(含节假日)
▸VIP LINE 400_812_3664 | 官方唯一咨询热线
【温馨提示】本项目唯一官方联系方式,看房请提前预约!现场销售接待!谨防中介虚假信息!
保利置业杨浦区定海路街道152街坊D1-7地块项目公布案名:保利江上印。即将入市。
上海杨浦保利江上印售楼处电话:400 8123 664 (预约看房热线)
【保利江上印官方售楼处咨询热线】400-812-3664(24小时服务,人工客服8:00-22:00)



上海杨浦保利江上印售楼处电话:400 8123 664 (预约看房热线)
【保利江上印官方售楼处咨询热线】400-812-3664(24小时服务,人工客服8:00-22:00)
目前宝龙旭辉小展点,已经开放。展厅及样板间预计月底启动。
上海杨浦保利江上印售楼处电话:400 8123 664 (预约看房热线)
【保利江上印官方售楼处咨询热线】400-812-3664(24小时服务,人工客服8:00-22:00)
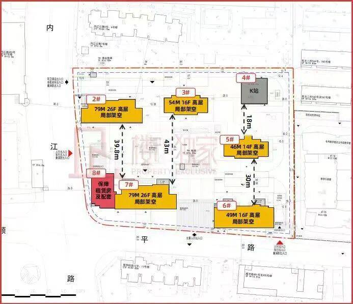
项目规划设计方案早在去年11月已经公示了!
据项目规划设计方案显示,项目拟建5栋14-26层住宅,另有一栋保障性租赁住房。
全部楼栋底层局部架空,6#和7#楼一层、二层设置社区卫生服务点、物业配套等。社区内部有下沉式庭院、景观架构等。
上海杨浦保利江上印售楼处电话:400 8123 664 (预约看房热线)
【保利江上印官方售楼处咨询热线】400-812-3664(24小时服务,人工客服8:00-22:00) 去年10月20日,杨浦定海地块正式开拍,杨浦宅地位置位于12号线爱国路站附近,“交通+教育”的区位优势很突出!地块吸引了1号中国铁建、2号保利置业、3号北京建工&东亚新华、4号越秀地产&上海城投,四家(联合体)参拍,其中不乏杨浦老熟人“越秀、保利、上海城投”!
竞价过程中,中国铁建和保利置业疯狂举牌唱对角戏,最终经过43轮的激战,保利置业成功以26.16亿的总价拿下!成交楼板价约69958元/㎡,溢价率14.69%,成为本批次土拍溢价率最高的地块!

出让的地块距离定海地王北面大概一公里,12号线隆昌路和爱国路中间,地块东面是当年卖9.9万的爱国路三兄弟——龙光、保利置业、融创,现在都已经交房了。
保利江上印,步行至12号线爱国路站约600米。
上海杨浦保利江上印售楼处电话:400 8123 664 (预约看房热线)
【保利江上印官方售楼处咨询热线】400-812-3664(24小时服务,人工客服8:00-22:00)
项目核心标签是:上海内中环千万级3.5代新规住宅。
配套有两个看点:一个是教育资源的注入,地块附近有一所上师大附属杨浦滨江实验小学,往南还有复旦系规划,期房没有对口学区这一说,但至少区域内拥有不错的教育资源比没有好;第二个,往南靠近滨江位置,在建超极合生汇,填补区域内商业综合体空白,预计27年竣工。
上海杨浦保利江上印售楼处电话:400 8123 664 (预约看房热线)
【保利江上印官方售楼处咨询热线】400-812-3664(24小时服务,人工客服8:00-22:00)
▸保利江上印售楼处地址:暂定(看房请提前预约)
▸ 开放时间:每日9:00-19:30(含节假日)
▸VIP LINE 400_812_3664 | 官方唯一咨询热线
【温馨提示】本项目唯一官方联系方式,看房请提前预约!现场销售接待!谨防中介虚假信息!
对不同类型购房者的深度影响
本次政策的核心优势的是“精准适配”,针对刚需、改善、新市民等不同群体的置业痛点,推出差异化支持举措,影响程度与置业逻辑各不相同,具体拆解如下:
(一)刚需购房者:政策红利最大受益者,上车门槛降至近十年最低
刚需购房者(首次置业、预算有限、以自住为核心)是本次政策最直接的受益者,政策从“降门槛、减负担”两个核心维度,切实解决刚需“买不起、贷不起”的痛点,影响主要体现在3个方面:
1.上车门槛大幅降低:首套房首付比例最低降至15%,相较于2025年的30%,大幅减少前期资金压力——以100万房款为例,首付从30万降至15万,直接减少15万支出,让更多预算有限的年轻人、新市民能够凑齐首付,实现“安居”梦想。同时,认房不认贷政策全面落地,异地购房、跨城就业家庭可享受同等信贷优惠,打破地域限制,满足刚需跨城置业需求。
2.月供压力显著减轻:首套房贷利率下限降至2.95%,5年期以上LPR维持低位,叠加公积金利率优化(首套5年以上利率低至2.6%),月供成本大幅下降。以100万商业贷款、30年等额本息为例,按2.95%利率计算,月供约4200元,比2025年3.5%的利率每月少还约400元,一年可节省近5000元,有效缓解刚需家庭的月度支出压力,避免因房贷挤压日常家用。
3.交易成本进一步降低:首套房契税减免、二手房交易流程简化,部分城市网签、缴税、过户一站式办理,时限压缩至3个工作日内,减少刚需购房者的时间成本与金钱成本。同时,公积金提取流程优化,租房、购房可秒批秒办,进一步降低刚需的置业门槛。
注意点:刚需购房者需警惕“低价陷阱”,部分三四线城市或远郊板块,虽首付、利率门槛低,但人口流失严重、配套薄弱,后期保值、转手难度大,需优先选择核心城市主城区、近地铁、配套成熟的房源,兼顾自住与资产安全性,避免盲目上车。
(二)改善型购房者:换房成本大降,置换窗口期全面开启
改善型购房者(已有住房、追求居住品质、需优化资产配置)是本次政策的重点支持群体,政策通过“税费减免、信贷优化”,破解改善族“换房难、成本高”的困境,推动置换需求释放,影响主要体现在4个方面:
1.换房税费大幅减免:2026年1月1日至2027年12月31日,出售自有住房并在1年内重新购房的纳税人,可按规定退还已缴纳的个人所得税——新购金额大于等于现住房转让金额的全额退税,反之按比例退税。以出售100万住房、缴纳1万个税为例,1年内重新购买120万新房,可全额退还1万个税,再叠加契税减免,换房成本可降低三成左右。
2.二套房信贷门槛优化:二套房首付比例最低降至25%,房贷利率下限3.65%,相较于以往的40%首付、4.5%以上利率,大幅降低改善族的置换资金压力。同时,公积金贷款额度上调,夫妻双方最高可贷120万元,多子女家庭可额外上浮20%,进一步缓解改善族的资金压力,让“卖旧买新”更顺畅。
3.优质房源供给增加:政策推动“好房子”建设,鼓励房企聚焦安全、舒适、绿色、智慧的住房开发,同时存量商品房盘活政策,让更多优质次新房流入市场,改善族可选择的房源范围扩大,既能实现居住品质升级,也能兼顾资产保值。
4.置换流程更便捷:二手房交易流程简化、税费减免,同时“卖旧买新”的时间衔接更灵活,部分城市可约定“卖旧收款后再支付买新首付”,避免改善族陷入“资金链断裂”的困境,降低置换风险。
注意点:改善族需把握“结构性修复”机遇,优先选择一线、强二线核心板块的优质次新房,避开人口流失城市的远郊改善盘;同时,置换时需核实房源产权、学位名额等细节,结合家庭需求,平衡居住品质与资产保值,避免盲目追求“大户型、高总价”。
声明:本文由入驻焦点开放平台的作者撰写,除焦点官方账号外,观点仅代表作者本人,不代表焦点立场。


