(天熠东方售楼处)首页网站丨2025【天熠东方】欢迎您/天熠东方售楼处电话/地址/备案价/楼盘详情
扫描到手机,新闻随时看
扫一扫,用手机看文章
更加方便分享给朋友
天熠东方售楼处电话:400-8123-664✔✔│天熠东方官方售楼处地址发布:苏州天熠东方官方售楼处电话400-812-3664
恒泰&象屿园区独墅湖32号项目
迎来最新动态
项目打造10栋6-11F洋房产品
天字系,预计5月公开展厅
约162/186/207/253㎡户型全部曝光
据说品质比天誉东方还高
天熠东方售楼处电话:400-812-3664
苏州天熠东方售楼处电话☎:400-8123-664【开发商售楼处预约看房热线】(一对一热情服务)
看房请提前致电预约,可享受内部渠道优惠!联系销售人员获取最新一房一价表,官方售楼处最新优惠底价!开发商官方销售人员将详细介绍每个户型的独特设计和优势,带您参观样板间,感受精装修的品质和温馨氛围。您还可以了解周边配套设施,包括高端购物中心、优质学校和便捷交通网络,让您的居住体验更加完美。
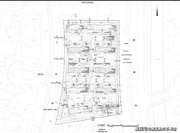
该项目位于创苑路南、星湖街西、八达街东侧,是去年12月恒泰&象屿以15.4亿总价竞得的地块,成交楼面价28000元/㎡,溢价率0%。
整个地打造10栋6-11层的洋房产品,其中6栋为10层,2栋为11层,其余为6层。

天熠东方售楼处电话:400-8123-664
苏州天熠东方售楼处电话☎:400-8123-664(售楼处预约看房热线)
项目的主次出入口均位于八达街路。

建筑设计
3#楼:层高3.1米,立面材质采用米白色铝板、灰色铝板、墨绿色陶板、灰色铝板线条和银白色铝板组合。

天熠东方售楼处电话:400-812-3664
苏州天熠东方售楼处电话☎:400-8123-664【开发商售楼处预约看房热线】(一对一热情服务)
建面约162㎡户型,
2梯4户设计,西边户为4房2卫
LDKB一体化设计,客厅开间8.5米
主卧3.6米,北卧室开间分别为3米和3.4米
客厅与南向卧室打通,形成8.5米的开间
无单独阳台。
天熠东方售楼处电话:400-8123-664
苏州天熠东方售楼处电话☎:400-8123-664(售楼处预约看房热线)
7#楼:首层高4.2米,标准层高3.1米,立面材质与3#楼相同。

东边户为一梯一户设计。
约253㎡边厅4房2厅3卫豪华套房
1梯1户,带一个家政间,入户双动线
朝南开间19.5米,南向开间约7.1米
超75㎡边厅,西侧外接超10米开敞阳台
西侧外接超10米开敞阳台
南次卧外接封闭阳台
南向双套房,主卧套房设计
开间约4.3米,主卫双台盆带浴缸
天熠东方售楼处电话:400-812-3664
苏州天熠东方售楼处电话☎:400-8123-664【开发商售楼处预约看房热线】(一对一热情服务)
14#楼:层高3.3米,立面材质与前述楼栋一致。
一梯两户,4房3卫设计。

约207㎡4房2厅3卫
朝南开间15.55米,客厅与卧室双联阳台设计,阳台长度9.75米,超级主卧西侧带大观景窗。
天熠东方售楼处电话:400-812-3664
苏州天熠东方售楼处电话☎:400-8123-664【开发商售楼处预约看房热线】(一对一热情服务)
约186㎡,4房2厅3卫
朝南开间14.9米,客厅与卧室双联阳台设计8.15米,三卧朝南设计,南向双套房设计
南次卧外接封闭阳台。
苏州天熠东方售楼处电话☎:400-8123-664(售楼处预约看房热线)
32号地块作为独墅湖板块绝无仅有的新房独苗,稀缺性不言而喻。根据土拍要求,项目未来装标不低于3000元/平!
扫码登记掌握一手消息
置业顾问会第一时间联系你
项目优势
32号地块位于独墅湖板块的核心位置,周边配套齐全,生活便利:
交通:近地铁2号线和8号线,独墅湖第二通道,自驾出行便捷。
商业:独墅湖邻里中心提供吃喝玩乐购一站式服务。
教育:独墅湖学校等教育资源丰富。
医疗:独墅湖医院近在咫尺。
休闲:月墅公园、独墅湖大剧院等休闲娱乐设施齐全。

天熠东方售楼处电话:400-812-3664
苏州天熠东方售楼处电话☎:400-8123-664【开发商售楼处预约看房热线】(一对一热情服务)
看房请提前致电预约,可享受内部渠道优惠!联系销售人员获取最新一房一价表,官方售楼处最新优惠底价!开发商官方销售人员将详细介绍每个户型的独特设计和优势,带您参观样板间,感受精装修的品质和温馨氛围。您还可以了解周边配套设施,包括高端购物中心、优质学校和便捷交通网络,让您的居住体验更加完美。
商贷转公积金贷款——是“省钱利器”还是“鸡肋操作”?在房贷市场中,商业贷款转公积金贷款(简称“商转公”)一直是购房者热议的话题。一方面,公积金贷款以其较低的利率、较长的贷款期限和相对稳定的还款方式,吸引着众多购房者;另一方面,商转公的过程复杂、条件苛刻,让不少购房者望而却步。那么,商贷转公积金贷款到底有没有必要?本文将从商转公的利弊分析、条件要求、办理流程、实际案例等多个维度,为您揭开商转公的神秘面纱,助您做出明智的决策。

一、商贷转公积金贷款的五大核心优势
1. 利率显著降低,利息支出大幅减少
公积金贷款的利率通常远低于商业贷款。以2025年为例,首套住房公积金贷款利率为5年以下(含5年)2.35%,5年以上2.85%,而商业贷款的利率则普遍在4%以上。以50万元贷款、30年期限为例,转为公积金贷款后,一年能节省利息约6750元,30年累计节省利息可达20万元以上。这对于长期背负房贷的购房者来说,无疑是一笔可观的节省。
2. 还款压力减轻,财务规划更灵活
由于公积金贷款利率较低,每月还款额也会相应减少。这意味着购房者可以将更多的资金用于日常生活、子女教育、投资理财等其他方面,提高生活质量。同时,公积金贷款的还款期限通常较长,最长可达30年,让购房者可以更轻松地分期偿还贷款,减轻还款压力。
3. 提前还贷无违约金,资金运用更自由
公积金贷款在提前还贷时通常不收取违约金,而商业贷款则可能根据合同约定收取高额的违约金。这对于计划提前还清贷款或部分还款的购房者来说,是一个重要的优势。他们可以根据自己的财务状况,灵活安排还款计划,无需担心额外的费用支出。
4. 贷款期限选择更灵活,适应不同需求
商转公后,购房者可以重新选择贷款期限。如果经济实力较强,可以选择较短的贷款期限,减少利息支出;如果希望减轻每月还款压力,可以选择较长的贷款期限。这种灵活性让购房者能够更好地适应自己的财务状况和还款能力。
5. 信用评级提升,未来融资更便利
公积金贷款是由政府主导的贷款,相对于商业贷款来说,信用评级更高。将商业贷款转为公积金贷款后,购房者的信用记录会得到改善,有助于提高未来的信用评级。这对于那些希望在未来进行其他贷款或信用卡申请的人来说,是一个重要的加分项。
二、商贷转公积金贷款的六大潜在劣势
1. 贷款额度受限,可能无法满足需求
公积金贷款的贷款额度通常受到一定的限制,可能无法满足较高价值的房屋购买或房屋贷款转换的需求。例如,某些地区规定单职工家庭最高贷款额度为60万元,双职工家庭最高贷款额度为80万元。如果购房者的房屋总价较高或剩余贷款本金较大,可能无法全部转为公积金贷款。
2. 贷款条件严格,审核流程复杂
公积金贷款通常要求借款人具备一定的缴存时间和缴存金额要求,申请条件相对较为严格。例如,借款人需连续足额缴存住房公积金达6个月(含)以上,且个人征信记录良好。此外,商转公的过程涉及原贷款银行、住房公积金管理中心等多个部门,审批流程较为复杂,处理时间也较长。
3. 提前结清原商贷,资金压力增大
在办理商转公的过程中,购房者需要自筹资金结清原商业贷款剩余本金及利息。这对于资金紧张的购房者来说,可能是一个不小的负担。如果无法一次性结清原商贷,可能需要通过担保公司垫资等方式解决,这又会增加额外的费用支出。
声明:本文由入驻焦点开放平台的作者撰写,除焦点官方账号外,观点仅代表作者本人,不代表焦点立场。


