保利江上印【销售中心官网】2026营销中心(保利江上印售楼处)欢迎您|价格/户型/地址/环境/配套/交房时间
扫描到手机,新闻随时看
扫一扫,用手机看文章
更加方便分享给朋友
上海杨浦保利江上印售楼处电话:4008123664(预约看房热线)
【保利江上印官方售楼处咨询热线】400-812-3664(24小时服务,人工客服8:00-22:00)
▸保利江上印售楼处地址:上海市杨浦区内江路与顺平路交叉口(看房请提前预约)
▸开放时间:每日9:00-19:30(含节假日)
▸VIPLINE400_812_3664|官方唯一咨询热线
【温馨提示】本项目唯一官方联系方式,看房请提前预约!现场销售接待!谨防中介虚假信息!
保利置业杨浦区定海路街道152街坊D1-7地块项目公布案名:保利江上印。即将入市。
上海杨浦保利江上印售楼处电话:4008123664(预约看房热线)
【保利江上印官方售楼处咨询热线】400-812-3664(24小时服务,人工客服8:00-22:00)



上海杨浦保利江上印售楼处电话:4008123664(预约看房热线)
【保利江上印官方售楼处咨询热线】400-812-3664(24小时服务,人工客服8:00-22:00)
目前宝龙旭辉小展点,已经开放。展厅及样板间预计月底启动。
上海杨浦保利江上印售楼处电话:4008123664(预约看房热线)
【保利江上印官方售楼处咨询热线】400-812-3664(24小时服务,人工客服8:00-22:00)
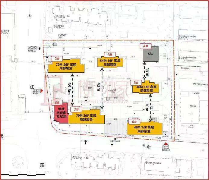
项目规划设计方案早在去年11月已经公示了!
据项目规划设计方案显示,项目拟建5栋14-26层住宅,另有一栋保障性租赁住房。
全部楼栋底层局部架空,6#和7#楼一层、二层设置社区卫生服务点、物业配套等。社区内部有下沉式庭院、景观架构等。
上海杨浦保利江上印售楼处电话:4008123664(预约看房热线)
【保利江上印官方售楼处咨询热线】400-812-3664(24小时服务,人工客服8:00-22:00)去年10月20日,杨浦定海地块正式开拍,杨浦宅地位置位于12号线爱国路站附近,“交通+教育”的区位优势很突出!地块吸引了1号中国铁建、2号保利置业、3号北京建工&东亚新华、4号越秀地产&上海城投,四家(联合体)参拍,其中不乏杨浦老熟人“越秀、保利、上海城投”!
竞价过程中,中国铁建和保利置业疯狂举牌唱对角戏,最终经过43轮的激战,保利置业成功以26.16亿的总价拿下!成交楼板价约69958元/㎡,溢价率14.69%,成为本批次土拍溢价率最高的地块!

出让的地块距离定海地王北面大概一公里,12号线隆昌路和爱国路中间,地块东面是当年卖9.9万的爱国路三兄弟——龙光、保利置业、融创,现在都已经交房了。
保利江上印,步行至12号线爱国路站约600米。
上海杨浦保利江上印售楼处电话:4008123664(预约看房热线)
【保利江上印官方售楼处咨询热线】400-812-3664(24小时服务,人工客服8:00-22:00)
项目核心标签是:上海内中环千万级3.5代新规住宅。
配套有两个看点:一个是教育资源的注入,地块附近有一所上师大附属杨浦滨江实验小学,往南还有复旦系规划,期房没有对口学区这一说,但至少区域内拥有不错的教育资源比没有好;第二个,往南靠近滨江位置,在建超极合生汇,填补区域内商业综合体空白,预计27年竣工。
上海杨浦保利江上印售楼处电话:4008123664(预约看房热线)
【保利江上印官方售楼处咨询热线】400-812-3664(24小时服务,人工客服8:00-22:00)
▸保利江上印售楼处地址:暂定(看房请提前预约)
▸开放时间:每日9:00-19:30(含节假日)
▸VIPLINE400_812_3664|官方唯一咨询热线
【温馨提示】本项目唯一官方联系方式,看房请提前预约!现场销售接待!谨防中介虚假信息!
上海最新购房政策
2026年2月25日,上海市五部门联合发布房地产新政“沪7条”,自2月26日起实施。新政从限购松绑、公积金优化、房产税减免三方面调整,非户籍居民外化内购房社保年限由3年缩短至1年,持居住证满5年可全市购房,公积金贷款额度最高提至324万,并放宽多子女家庭购房限制。
一、进一步调减住房限购政策
服务宜居安居,促进职住平衡,聚焦满足居民合理住房需求,《通知》明确进一步调减住房限购政策。
一是缩短非沪籍居民购买外环内住房所需缴纳社保或个税年限。对非本市户籍居民家庭或成年单身人士购买外环内住房的,购房所需缴纳社会保险或个人所得税的年限,调整为购房之日前连续缴纳满1年及以上。
二是符合条件非沪籍居民可在外环内增购1套住房。对在本市缴纳社会保险或个人所得税满3年及以上的非本市户籍居民家庭或成年单身人士,在执行现有住房限购政策基础上,可在外环内增购1套住房。
三是符合条件的持《上海市居住证》群体可在本市购买住房。对持《上海市居住证》满5年及以上的非沪籍居民家庭或成年单身人士,在本市限购1套住房,无需提供缴纳社保或个税证明。
按照上述规定,非沪籍居民家庭或成年单身人士,自购房之日前在本市连续缴纳社会保险或个人所得税满1年及以上的,在外环外购买住房不限套数,在外环内限购1套住房;连续缴纳社会保险或个人所得税满3年及以上的,在外环内限购2套住房。持《上海市居住证》满5年及以上的,在全市范围内限购1套住房。
关于住房限购政策相关业务,可拨打房地产交易行业服务热线“962269”具体咨询。
二、优化住房公积金贷款政策
发挥公积金支持住房消费作用,满足缴存人在不同阶段的宜居安居需求,《通知》规定优化住房公积金政策。
一是适度提高住房公积金最高贷款额度。将缴存人家庭购买首套住房的公积金贷款最高额度从160万元提高至240万元,叠加多子女家庭和购买绿色建筑最高贷款额度上浮政策(最高上浮35%),本市公积金家庭贷款最高额度可达到324万元。对购买第二套住房的最高贷款额度也相应予以提高。
二是优化贷款套数认定。对于已使用过公积金贷款的本市缴存人家庭,在本市无住房或仅有1套住房、且当前已结清住房公积金贷款的,在本市再次购房时可申请公积金贷款。
三是扩大多子女家庭购房支持范围。公积金贷款支持政策的适用范围从购买首套住房拓展至购买第二套住房。即对多子女家庭购买第二套住房的,最高贷款额度在本市最高贷款额度基础上上浮20%。
关于住房公积金贷款政策相关业务,可查询上海住房公积金官网或拨打住房公积金热线“12329”具体咨询。
三、完善个人住房房产税政策
支持居民置换改善需求,《通知》规定自2026年1月1日起,对本市户籍居民家庭中的子女成年后,购买住房属于成年子女家庭唯一住房的,暂免征收个人住房房产税。即对购房人于未成年时(或于本市个人住房房产税试点前)已与父母、(外)祖父母共同拥有住房的,在本市新购或置换住房后,该住房仍属于成年子女家庭唯一住房的(除上述共同拥有住房外),暂免征收个人住房房产税。
购房人家庭住房情况发生变化,符合上述条件的,可向应税住房所在地税务机关重新办理个人住房房产税纳税信息申报、认定,从税务机关重新认定之次月起调整纳税,并退还所属期在2026年1月1日以后多缴纳的税款。
关于完善个人住房房产税政策相关业务,可拨打税务咨询热线“12366”具体咨询。
此次调整涉及调减住房限购、优化住房公积金贷款、完善个人住房房产税等政策。下为购房政策调整前后的对比情况,供大家查阅:
01关于住房限购政策
Q本次限购政策调整时间节点?
A网签合同需在2026年2月26日当天及以后,符合本次限购政策调整。
Q本次调整中非沪籍居民家庭和单身人士,社会保险或个人所得税满足1年或者3年的要求?
A①以上满1年是指购房网签合同前1个月满足连续15个月累计12个月的社会保险或者个人所得税;
②以上满3年是指购房网签合同前1个月满足连续39个月累计36个月的社会保险或者个人所得税。
Q持满足条件《上海市居住证》群体可在本市购买住房的,《上海居住证》满足什么条件?
A网签合同之前1个月《上海居住证》累计满5年即可、无需连续,且持有《上海市居住证》人员必须上产证。
Q满足120积分上海长期居住证且连续满足3年社保或个人所得税的非沪籍成年单身人士,是否可剔除限购前和父母住房?
A提供关系证明,住房套数中可以做剔除。
02关于公积金贷款政策
Q此次政策调整何时生效,如果之前已经申请了公积金贷款,是不是就无法享受到此次贷款额度上调的政策支持了?
A2026年2月26日前受理的公积金贷款按原政策执行,2026年2月26日(含)后受理的公积金贷款按调整后的政策执行。
2026年2月26日前已受理但未发放的公积金贷款,借款申请人与购房合同各方协商一致的,可向贷款受理机构申请撤销原贷款申请,按照调整后的贷款条件、额度等政策重新申请公积金贷款,具体可咨询公积金贷款受理机构。
Q按照最新的政策,缴存人在本市购买住房申请公积金贷款,最高贷款额度是多少?
A缴存人在本市购买首套住房的,个人公积金最高贷款额度(含补充公积金最高贷款额度,下同)可达120万元,家庭公积金最高贷款额度可达240万元;在本市购买第二套住房的,个人公积金最高贷款额度可达100万元,家庭公积金最高贷款额度可达200万元。
同时,多子女家庭购房(上浮20%)和购买符合条件的绿色建筑住房(上浮15%)的公积金最高贷款额度上浮比例保持不变,同时符合多种上浮条件的,上浮比例可叠加,即最高可上浮35%。
Q夫妻双方在本市缴存住房公积金,名下各有一次公积金贷款且均已结清,再次购房时可以申请公积金贷款吗?
A在本市无住房或仅有一套住房的本市缴存人家庭,当前公积金贷款已结清且符合其他贷款条件的,在本市再次购房时,可申请公积金贷款。
Q公积金贷款中的首套住房和第二套住房的认定标准是什么?
A首套住房:缴存人家庭申请公积金贷款购买住房时,家庭名下在本市无住房或者购买共有产权保障住房的;
第二套住房:缴存人家庭申请公积金贷款购买住房时,家庭名下在本市已有一套住房的。
Q夫妻双方在本市缴存住房公积金,名下各有一次公积金贷款且均已结清,再次购房时可以申请公积金贷款吗?
A在本市无住房或仅有一套住房的本市缴存人家庭,当前公积金贷款已结清且符合其他贷款条件的,在本市再次购房时,可申请公积金贷款。
Q家庭名下有未结清的公积金贷款,再次购房时可以申请公积金贷款吗?
A缴存人家庭在本市或外省市有未结清的公积金贷款的,不予贷款。如本市缴存人家庭名下在本市或外省市有未结清的公积金贷款,但符合其他贷款条件的,可以先行结清已有贷款,再申请公积金贷款。
Q外省市缴存职工在本市购买住房,可以申请公积金贷款吗?
A外省市缴存职工在本市申请公积金贷款应当同时满足以下条件:
(1)符合《住房城乡建设部关于住房公积金异地个人住房贷款若干具体问题的通知》规定的异地贷款使用条件,即当前未使用过公积金贷款或首次公积金贷款已结清;
(2)在本市购买首套住房或者第二套住房,且符合本市其他公积金贷款条件。
03关于房产税政策
Q客户A上海单身,在2011年1月28日之前跟上海父母在徐汇共有一套住房90平,2015年又买进一套浦东新区的住房60平,现在卖掉浦东的住宅,再买一套50平的住宅,本次购房是否仍然可以享受成年子女首套免征房产税?
A自2026年1月1日起,对本市户籍居民家庭中的子女成年后,购买住房属于成年子女家庭唯一住房的,暂免征收个人住房房产税。
Q客户A上海单身,在未成年时跟上海爷爷在徐汇共有一套住房90平,2015年又买进一套浦东新区的住房60平,现在卖掉该住宅,再买一套50平的住宅,本次购房是否仍然可以享受成年子女首套免征房产税?
A购房人未成年时(或于本市个人住房房产税试点前)已与父母、(外)祖父母共同拥有住房的,在本市新购或置换住房后,该住房仍属于成年子女家庭唯一住房的(除上述共同拥有住房外),暂免征收个人住房房产税。
Q符合本次房产税首套减免条件的购房人员,如何操作?
A购房人家庭住房情况发生变化,符合上述条件的,应向征收房产税的住房所在地税务机关重新办理个人住房房产税纳税信息申报、认定,从税务机关重新认定之次月起调整纳税,并退还所属期在2026年1月1日以后多缴纳的税款。
声明:本文由入驻焦点开放平台的作者撰写,除焦点官方账号外,观点仅代表作者本人,不代表焦点立场。


