刚刚,万众瞩目,热点十足,园区独墅湖象屿&恒泰月亮湾32号项目规划公示!独墅湖板块发展领域是生物医药、人工智能、纳米技术应用和数字经济“3+1”核心产业,都是园区的发力重点,红利赛道。此次象屿&恒泰独家能够拿…
万众瞩目!刚刚!
象屿&恒泰园区独墅湖月亮湾32号项目
规划出炉
打造10栋6-11F洋房产品
户型非常惊艳,值得期待!
咨询热线:18662309054
打造10栋6-11F洋房产品
象屿&恒泰月亮湾32号项目规划公示
刚刚,万众瞩目,热点十足,园区独墅湖象屿&恒泰月亮湾32号项目规划公示!

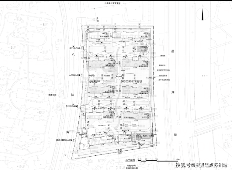
象屿&恒泰月亮湾32号地块,位于创苑路南,星湖街西,八达街东侧。是去年12月份,象屿&恒泰 总价15.4亿竞得,成交 楼面价28000元/㎡,溢价率0%。
根据规划,该地块拟建 10栋6-11F洋房产品。其中6栋10F,2栋11F洋房,为主力。

主次出入口均位于八达街路。

3#立面图如下,层高 3.1米。立面材质由 米白色铝板+灰色铝板+墨绿色陶板+灰色铝板线条+银白色铝板组成。

3#,2梯4户设计

3#西边户 4房2卫设计
LDKB一体化设计
客厅8.5m 主卧3.6m
北卧室左边开间3m 右边开间3.4m
这个户型没有单独的阳台
是跟客厅打通的
客厅跟右侧南向卧室一起8.5m开间

7#立面图如下,首层 4.2米,层高 3.1米。立面材质由 米白色铝板+灰色铝板+墨绿色陶板+灰色铝板线条+银白色铝板组成。

7#,东边户,一梯一户
该户型4房3卫,朝南开间19.5m
客厅5.3m,西侧L型大阳台
家政间、超级主卧,空间非常大

中间户,东边户,1梯2户设计
朝南开间 14.9米
客厅与卧室双联阳台设计8.15米

14#立面图如下,层高 3.3米。立面材质由 米白色铝板+灰色铝板+墨绿色陶板+灰色铝板线条+银白色铝板组成。


该户型4房3卫,朝南开间15.55m
客厅与卧室双联阳台设计9.75米
超级主卧西侧带大观景窗

32号地块作为独墅湖板块绝无仅有的新房独苗,稀缺性不言而喻。根据土拍要求,项目 未来装标不低于3000元/平!

咨询热线:18662309054
独墅湖月亮湾32号地块详细解析
苏地2024-WG-Z32号地块,位于创苑路南,星湖街西, 八达街东侧,占据独墅湖高教区主核位置,周边高校云集、湖景在侧、高精尖产业遍布、大规模高端与海归人才、成熟生活圈……各种BUFF叠于一身。

首先是配套方面,要啥有啥
这块地项目身处独墅湖的中心, 近地铁2号线,地铁8号线,独墅湖第二通道,自驾往返便利。
不远处就是 独墅湖邻里中心,吃喝玩乐购一站式解决;近独墅湖, 周末一家人可悠闲漫步湖边,日子轻松又自在。
月墅公园、独墅湖医院、独墅湖学校、独墅湖大剧院……各项成熟生活配套在侧,环境优越。
其次这里有少见的高知高教氛围感
这里有苏大、西交大、中科大等 33所中外知名院校,教职工 约6400人,在校生人数近8万人,留学生总数超3000人!
高层次人才贮备量更是惊人,区内拥有国家重点人才工程计划166人,省“双创人才”254人,姑苏领军人才427人,金鸡湖人才1401人,均占园区6成以上!(2022年11月数据,来源 园区管委会)
苏州的人才高地在园区,园区的人才高地在独墅湖。

| 图源:苏州工业园区发布
接着是产业方面,更是一流。
独墅湖板块发展领域是 生物医药、人工智能、纳米技术应用和数字经济“3+1”核心产业,都是园区的发力重点,红利赛道。
超5000家优质企业,随处可见独角兽企业、上市公司,可以这么说,独墅湖的未来,一定程度决定了园区的未来。(数据来源:苏州工业园区发布)
名校输送人才,产业招揽人才就业, “产学研人”一体化模式在独墅湖已经很成熟,支撑区域未来长红几十年不是问题。
正是在高浓度的顶级配套资源、高精尖产业与世界级名校集群的赋能下,独墅湖,作为园区价值高地,人文底蕴愈发浓厚。在这里工作、生活的人也大都是高学历、高创造力、高收入群体,圈层既特殊又纯粹。
目前已是官方认证的城市高端居住中心,高端置业者心中的白月光。
近几年,整个板块不断上演 楼市传奇,豪宅氛围拉满, 招商文禧花园、路劲君和居、华润润月雅筑等多个项目引发了市场高度关注,房价刷新楼市天花板的同时多个项目即开即罄,一路飘红, 高端购买力非常强劲。

同时这里还是整个市场不内卷的板块,新房供应有条不紊,新房品质高、二手房溢价率坚挺,市场表现异常出彩。
目前为空地状态。
|航拍于2023年12月8日
象屿&恒泰强强联合
开启独墅湖豪宅的新篇章
据小道消息,该地块 象屿&恒泰再度携手强强联合,由 象屿小股操盘形式操盘。
苏州恒泰——苏州工业园区开拓者与运营者。 苏州园区直属大型国有企业,是园区商业地产、租赁住房和产业地产载体的最大持有者和运营商之一,也是金鸡湖商业地标-苏州中心建造者,见证并深度参与了苏州工业园区的开发建设。
象屿地产——综合型城市服务运营商。作为国企背景,象屿集团的全资子公司、《财富》世界500强企业。象屿地产1993年成立至今30年的成熟开发经验,已有多个样本去证明其前瞻性的市场预判和产品审美高度。

例如名声大噪的金鸡湖东天悦东方、天誉东方、时光青澄以园区主核低密洋房的业态及品质高度,直接掀起市场的抢购热潮,加速带动板块产品迭代更新。
多个项目拿下园区月度商品住宅项目销售金额、面积、套数榜榜首。

目前两者强强联合已有 天誉东方、时光青澄等多个成功样本,珠玉在前,给予多个成功经验,此次 恒泰主动找到象屿,再度联䘧择址独墅湖月亮湾烫金热土打造园区不凡之作,不得不让人心生期待。
此次 象屿&恒泰独家能够拿下月亮湾地块,是一次机缘巧合的幸运,更是高端核心地段与实力优质房企的顶峰相见。
在板块内如此紧缺以及居住饱和的情况下,这块土地的含金量可非同一般,入市即能掀起热潮!
同时今年恰逢是园区发展的三十周年之际, 恒泰和象屿双国企合力打造更好的园区典范案例标杆,将进一步助力园区高端人居,开启独墅湖豪宅的新篇章。
可以预见,此次象屿&恒泰32号地块,又将是苏州楼市豪宅的新传奇,出场即炸场!我们一起期待。