苏州地铁6号线园区段站点较新规划公示啦!
扫描到手机,新闻随时看
扫一扫,用手机看文章
更加方便分享给朋友
1月7日,
地铁6号线终于又有新消息!
涉及园区路段10站
较新位置及车站效果图公布


• 金尚路站 •✚●○
位置
金尚路、新庆路交叉口、沿新庆路方向


• 斜步站 •✚●○
位置
沿金堰路经过东富路、独墅湖大道、新发路、金堰路、东延路交叉口。


• 金家堰站 •✚●○
位置
沿金堰路经过金鸡湖大道、东旺路、金堰路、东宏路交叉口。


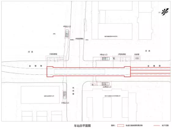
• 港田路站 •✚●○
位置
港田路与锦溪路交叉口、金堰路北端。


• 中新大道东站 •✚●○
位置
钟南街与中新大道东路交叉口、锦溪路南端


• 苏胜路站 •✚●○
位置
星塘街、中新大道东交叉口、沿中新大道东方向


• 南施街站 •✚●○
位置
沿中新大道东方向、中新大道东、南施街交叉口


• 李公堤西站 •✚●○
位置
星港街、中新大道西交叉口、沿中新大道西方向


• 星海街站 •✚●○
位置
中心大道西、星海街交叉口


• 徐家浜站 •✚●○
位置
中新大道西与东环路交叉口、沿中新大道西往东方向


此外针对园区段车站(排名前列批)
规划公示意见
苏州工业园区管委会
也发布了回复
↓↓

1、关于苏胜路站在星塘街以西设置出入口的问题?
回复:
苏胜路站为5、6号线换乘站,在中新大道东与星塘街交叉路口西北象限和西南象限沿星塘街方向已分别设置1号和5号出入口。若在路口西侧园区十中北侧增设出入口,出入口通道需下穿娄斜塘河,通道冗长、曲折, 人员通行不便,工程实施难度较大且无法满足消防设计要求,因此不具备在该处设置出入口的条件。
娄斜塘河西侧园区第十中学和住宅小区的客流可由地面经过龚巷桥至本站的1、5号出入口进站,地面行走距离约100多米,在车站客流福射500m范围之内。
2、关于港田路3号出入口的设置问题?
回复:
港田路站3号出入口设置主要考虑服务车站东侧客流,方便乘客进出车站且兼顾过街功能;在方案设计时已考虑于出入口旁设置人行道,保证正常通行。
为方便市民出行,地铁都在城市中心施工,距离周边建筑物较近,为保障周边既有建筑物、管线的安全和减少对附近居民的出行影响,在出入口施工时会针对周边既有建筑物采取相应的安全保障措施,施工过程中将注重安全文明施工,加强对周边建筑物的监测和保护,减少对周边居民的影响,保障周边建筑物安全。
3、关于港田路站2号出入口设计标准的问题?
回复:
港田路站2号出入口设计为6.5m宽、两扶一楼标准,通过能力达2.3万人/小时,满足通行需求。
4、关于港田路站对周边住宅影响的问题?
回复:
港田路站风亭和冷却塔距离住宅大于50m,方案设计时已考虑有效的嗓声、震动防治措施,确保轨道交通运行的噪音、震动、辐射满足环评要求,不影响居民日常生活。
声明:本文由入驻焦点开放平台的作者撰写,除焦点官方账号外,观点仅代表作者本人,不代表焦点立场。


